
Jan. 28 2026 | Hannah Field | Editor-in-Chief
In 2025, it was expected that the underwater volcano Axial Seamount would erupt. This did not happen. Now, experts are claiming 2026 is its year.
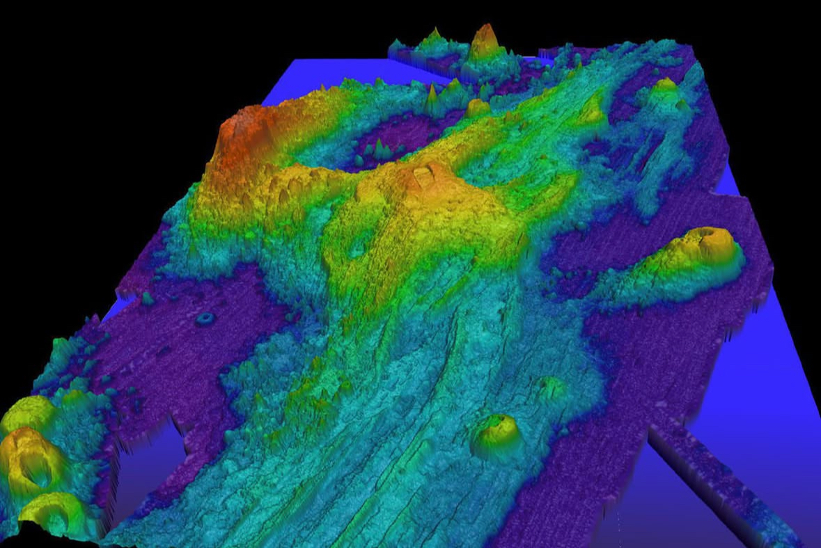
Located approximately 300 miles off the Oregon coast, and a mile deep into the ocean, Axial Seamount is considered the most active submarine volcano in the Northeast Pacific and potentially faces a volcanic eruption this year.
Despite the potential fear that can come with the words “volcanic eruption,” it’s very unlikely that the Axial Seamount volcano will create any impact for Oregonians. Simply put, the volcano is quite far offshore and really deep, despite being incredibly active, with an eruption history of 2011 and 2015 most recently. In fact, if someone were in a boat on the ocean directly over Axial Seamount as it erupts, they would feel none of the effects on the surface. If well underwater, however, it could be heard.
An eruption from Axial Seamount can last days or weeks; in 2015, it spat out 5.5 billion cubic feet of lava into the ocean — creating pillow lava that emerged from being rapidly cooled.
Seismic activity and seafloor inflation from magma is what indicated to scientists that Axial Seamount was nearing eruption, the volcano being one of the most well-studied. It’s said to have one of the most complex geographical builds, being part of a chain of seamounts — underwater mountains formed by volcanic activity — and intersecting the Juan de Fuca Ridge.
The Regional Cabled Array is an ocean observatory that provides data in real time from the seafloor and water column that stretches across the Juan de Fuca tectonic plate to scientists. Through a network of 560 miles (900 kilometers) of electro-optical cables and two-way communication lines to scientific sensors, researchers are able to collect data and monitor activity.
And, while pressure has increased and Axial Seamount is seeing similar levels as prior to its 2015 eruption, it’s holding steady; researchers think mid-to-late 2026 is when the submarine volcano could experience some activity.
In November, Oregon State University announced a new experiment utilizing collected data from the Regional Cabled Array to try and accurately predict an eruption. Underwater or not, volcanic eruptions can be impossible to predict, as no good framework exists, only the option of surveying old activity and comparing it to the present.
Now, Axial Seamount is taller than it was in 2015 when it last erupted. Although nobody will be harmed or even remotely affected by its potential eruption — anticipated eruption, even — scientists are looking forward to absorbing its data and tracking an underwater volcano eruption, which is extremely difficult to do.
Contact the author at howleditorinchief@wou.edu

